Szydłowo

Działka na sprzedaż

Opis nieruchomości

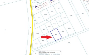
Na sprzedaż atrakcyjna działka budowlana w Szydłowie o pow. 923 m- Osiedle Jabłonkowe.

Działka posiada aktualną decyzję o warunkach zabudowy:
  • wielkość powierzchni zabudowy dla budynku wynosi - do 220 m2,
  • szerokość elewacji frontowej - max 17 m,
  • wysokość elewacji frontowej do okapu dachu - max 4,0 m,
  • wysokość budynku od poziomu terenu kalenicy budynku do najwyższej części dachu - max 9,0 m,
  • geometria dachu - min. dach dwuspadowy o kącie nachylenia połaci dachowych 25-45o,
  • kierunek usytuowania głównej kalenicy budynku - równolegle do nieprzekraczalnej linii zabudowy,
  • należy zapewnić min jedno miejsce parkingowe na działce,
  • zaopatrzenie w instalację elektryczną - z inst. elektroenergetycznej,
  • zaopatrzenie w wodę - z własnego ujęcia wody (studnia), inwestor przewiduje pociągnięcie sieci wodociągowej na rok 2023,
  • odprowadzanie ścieków sanitarnych - do zbiornika bezodpływowego,
  • ogrzewanie - indywidualne źródło ciepła, ze wskazaniem na paliwo proekologiczne,
  • odprowadzenie wód opadowych - powierzchniowo do gruntu na terenie własnej działki.
CENA:  152 000 zł (do negocjacji)

W ofercie inne działki w tej w samej lokalizacji (pow. od 666 m2 do 1067 m2).


Szydłowo to wieś położona zaledwie 6 km od Piły.
Działka zlokalizowana na uboczu, w urokliwym miejscu dla osób ceniących ciszę i spokój.

ZAPRASZAM NA PREZENTACJĘ!

Nota prawna

Opis oferty zawarty na stronie internetowej sporządzony jest na podstawie oględzin nieruchomości oraz informacji uzyskanych od właściciela. Może on podlegać aktualizacji i nie stanowi oferty w rozumieniu art. 66 i następnych Kodeksu Cywilnego.

Szczegóły oferty

Symbol oferty KNF-GS-1277
Powierzchnia 923,00 m²
Przeznaczenie działki mieszkaniowa
Wymiary działki 25x38,5x25x35,4 m
Stan prawny własność
Zagosp. działki niezagospodarowana
Ukształtowanie działki płaska
Kształt działki prostokąt
Ogrodzenie działki brak
Gaz brak
Woda studnia
Dojazd droga gruntowa
Otoczenie działki zabudowane
Położenie na wsi
Prąd jest
Kanalizacja szambo

Lokalizacja

Kalkulator kredytowy

PLN
%
Wysokość raty

Kalkulator kosztów

PLN
PLN
PLN
PLN
PLN
PLN
%
PLN
Podatek od czynności cywilno-prawnych
Taksa notarialna (opłata notarialna)
VAT od taksy notarialnej (opłaty notarialnej)
Wniosek do WKW
VAT od wniosku do WKW
Prowizja agencji nieruchomości
VAT od prowizji agencji nieruchomości
Wypisy aktu notarialnego - około
RAZEM (cena + opłaty)

Podobne oferty

działka na sprzedaż - Szydłowo

działka na sprzedaż

Szydłowo
  995,00 m2 152,76 zł/m2
działka na sprzedaż - Szydłowo

działka na sprzedaż

Szydłowo
  881,00 m2 136,21 zł/m2
działka na sprzedaż - Szydłowo

działka na sprzedaż

Szydłowo
  1 021,00 m2 172,38 zł/m2
działka na sprzedaż - Szydłowo

działka na sprzedaż

Szydłowo
  851,00 m2 141,01 zł/m2

Napisz do nas

Proszę wypełnić to pole
Proszę wypełnić to pole
Proszę wypełnić to pole
Proszę wypełnić to pole
Trwa wysyłanie...

Ta strona wykorzystuje pliki cookies w celach statystycznych oraz w celu dostosowania naszych serwisów do indywidualnych potrzeb klientów. Zmiany ustawień dotyczących plików cookie można dokonać w dowolnej chwili modyfikując ustawienia przeglądarki. Korzystanie z tej strony bez zmian ustawień dotyczących cookies oznacza, że będą one zapisane w pamięci urządzenia.

rozumiem